We've admitted to our care a kitten in critical condition. 😰 The kitten was obviously hit by a car, it seems that at minimum, it has both front legs broken and one eye injured. 😭
Please, give the kitten a chance to live a happy life and help us pay for the veterinary costs. 🙏 We will do everything in our power to save it, but we can't do it alone. Please, join us. 🙏
We've just admitted to our care a kitten in critical condition. 😰 The kitten was hit by a car, it has both front legs broken and one eye injured. 😭 The people that informed us about it just let him lie on straw, even though the little one must feel terrible pain and can't stand up. It must have been terrible for the kitten. 😔
We picked up the kitten and took it to the local vet, where it got an injection for pain relief and the vet examined it and treated its eye. Then we took it to our vet who did a surgery on its legs. The vet also told us the kitten is a girl. We named her Alex.Please, help us save the kitten and send any amount to cover the veterinary costs. 🙏 We will do everything in our power to save it, but we can't do it alone. Please, join us. 🙏
Share:
Support this project even more and ask your friends to help
Create campaign
The vet gave new bandages for Alex's legs which were operated on and the kitty immediately wanted to stand up. 🙀 She's truly a warrior. But she will have to wait a while before she starts standing up, because the legs need to heal first. She could still harm herself by moving carelessly and nobody wants that.
It looks good with her. 💪 She eats and even cuddles. 🥰 When we took her in, she was hissing and wanted to protect herself, she even tried to bite the vet. But as soon as she realised we don't want to hurt her, her cuddly personality started to shine through and she replaced the hissing by purring. ❤️
Alex is still hospitalised at the vet and she will stay there for some time. We're glad everything is going well so far and we hope no more problems lie in Alex's future. 🙏
A huge thanks for all your messages, comments, likes, shares and help with paying for the treatment. 🙏 We were surprised by the massive support and we are truly glad for it. ❤️ We quickly collected enough money to help the kitty and we can now get her the very best treatment there is. Thank you. You will forever be a part of her story. ❤️
If you like our activities and you want to continue supporting what we do, we will be glad if you become a member of the "Klub hrdinů" (heroes club) and help us take care of other animals (by sending money regularly each month). 💕 You can register on this link 👉 https://www.handipet.org/klubhandipetu/
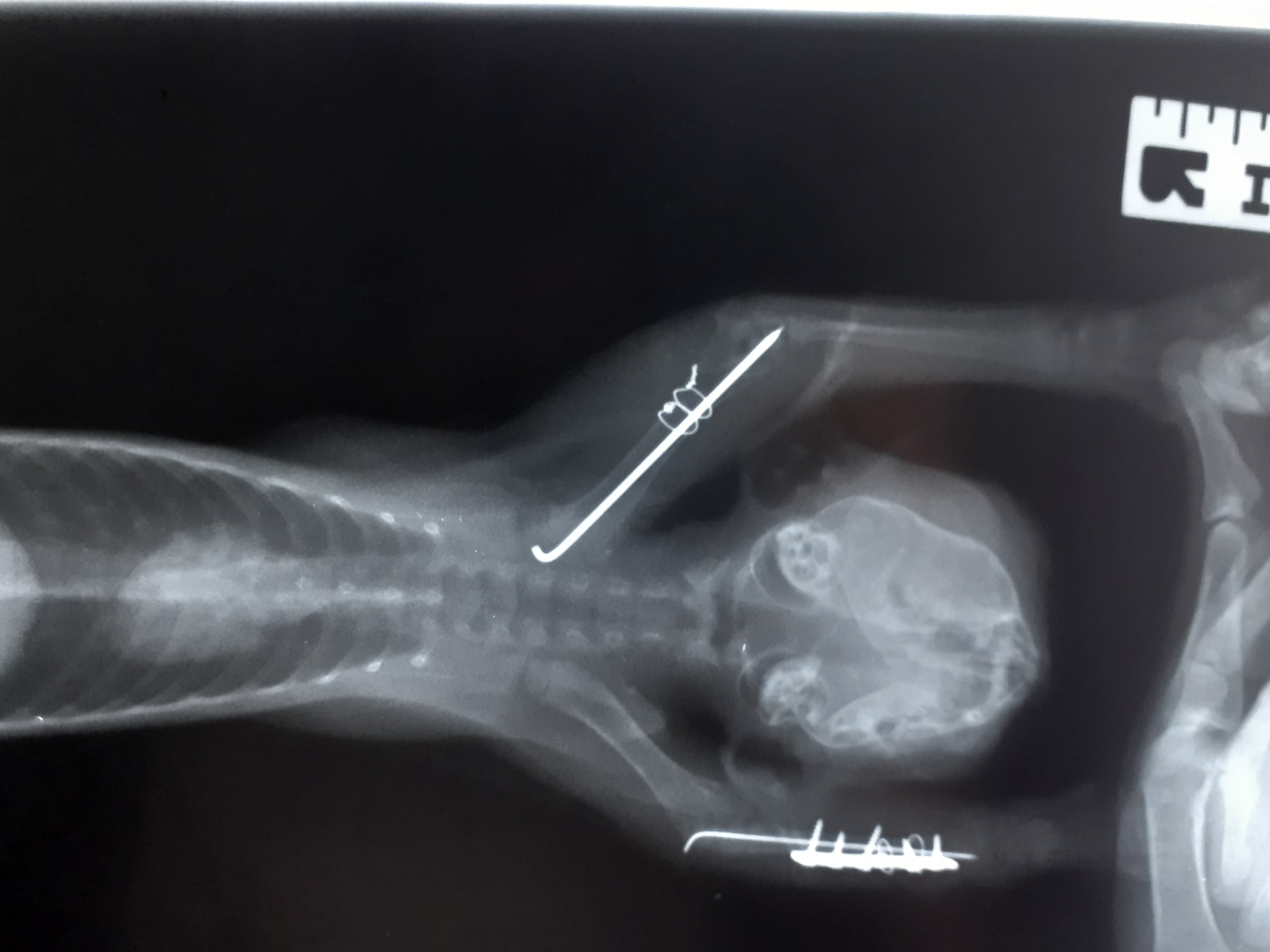
The poor little kitten we admitted to our care yesterday has a name! It's a girl and her name is Alex. 🐱 The kitten is hospitalised at the vet, she got infusion and already underwent broken legs surgery. Those were strenghtened by a wire and secured. Now it's time for Alex to lie calmly and heal, but she hasn't won her fight yet - there's still a risk of infection. 😔 We firmly hope nothing like that happens and everything will go smoothly from now on, but only time will tell. 🙏 As for the injured eye, the vet thinks it's glaucoma, but can't be sure yet. Despite the situation, the little one has a great zest for life - and even greater zest for food. ❤️ Even though she can't move too much, she manages to eat on her own. She's a great warrior. 💪 And she must feel so relieved right now. Yesterday morning, she wasn't sure what will happen with her and if she will even live another day. And now she's surrounded by people who are doing everything in their power to help her heal. ❤️ You are one of them and we want to thank you a lot for it and for all your support. 🙏
Create project
Just wonderful what you do! Yes, a happy life Alex will have thanks to you!
Brian Francis Reagan
€20
Posláno, hodně sil❤️
Martina Vondráčková
CZK 100
Posílám drobečkovi pár korunek na léčbu, ale taky hodně dobré energie... A všem veliké díky za to, co pro ty tvorečky děláte...
Iva Ondrová
CZK 300
Nejde pomoci všem. Ale každému alespoň kousek. Přeji ať se uzdravíš
Karin Bauer
CZK 100
Zlatíčko není to sice moc, ale snad to alespoň trochu pomůže. Hlavně to zvládni a bojuj!!! Budeme na tebe myslet
Kateřina Kováčíková
CZK 200
Přeji malé slečně hodně zdraví a lásky 😌
Anetta Nyitraiová
CZK 200
Držím palce! 🍀🍀🍀
Helena Šebestová
CZK 50
Drž se koťátko
Adéla Lučanová
CZK 100
Brzy se uzdrav zlatíčko
Michaela Švecová
CZK 200
Daisy and I hope this helps. We are humbled by the work you do.
Just wonderful what you do! Yes, a happy life Alex will have thanks to you!
Posláno, hodně sil❤️
Posílám drobečkovi pár korunek na léčbu, ale taky hodně dobré energie... A všem veliké díky za to, co pro ty tvorečky děláte...
Nejde pomoci všem. Ale každému alespoň kousek. Přeji ať se uzdravíš
Zlatíčko není to sice moc, ale snad to alespoň trochu pomůže. Hlavně to zvládni a bojuj!!! Budeme na tebe myslet
Přeji malé slečně hodně zdraví a lásky 😌
Držím palce! 🍀🍀🍀
Drž se koťátko
Brzy se uzdrav zlatíčko
Daisy and I hope this helps. We are humbled by the work you do.