Pet Heroes z.s.


Zvířata

Zubožené koťátko v nouzi

Přijali jsme zubožené koťátko v kritickém stavu. 😰 Koťátko je očividně po srážce s autem, vypadá to na zlomeniny obou předních nohou a poranění oka. 😭 Prosím, dejte koťátku šanci na šťastný život a pomozte nám se zaplacením veterinárních nákladů. 🙏 Uděláme vše, co budeme moct, abychom koťátko zachránili, sami to ale nedokážeme. Prosím, přidejte se k nám. 🙏

vybíráme od 30.6.2020

Staňte se hrdinou a pomozte zachránit jeden kočičí život. 🙏

I malý příspěvek pomáhá. ❤️
Sbírka je již uzavřena. Děkujeme!
Právě jsme přijali zubožené koťátko v kritickém stavu. 😰 Koťátko je po srážce s autem, má zlomené obě přední nohy a problémy s očičkem, za kterým podle pana veterináře může stát zelený zákal. 😭 Lidé, kteří nás o koťátku informovali, ho nechali takhle ležet ve slámě, přestože drobeček musel mít neuvěřitelné bolesti a nedokázal se postavit. Muselo to pro něj být šílené. 😔

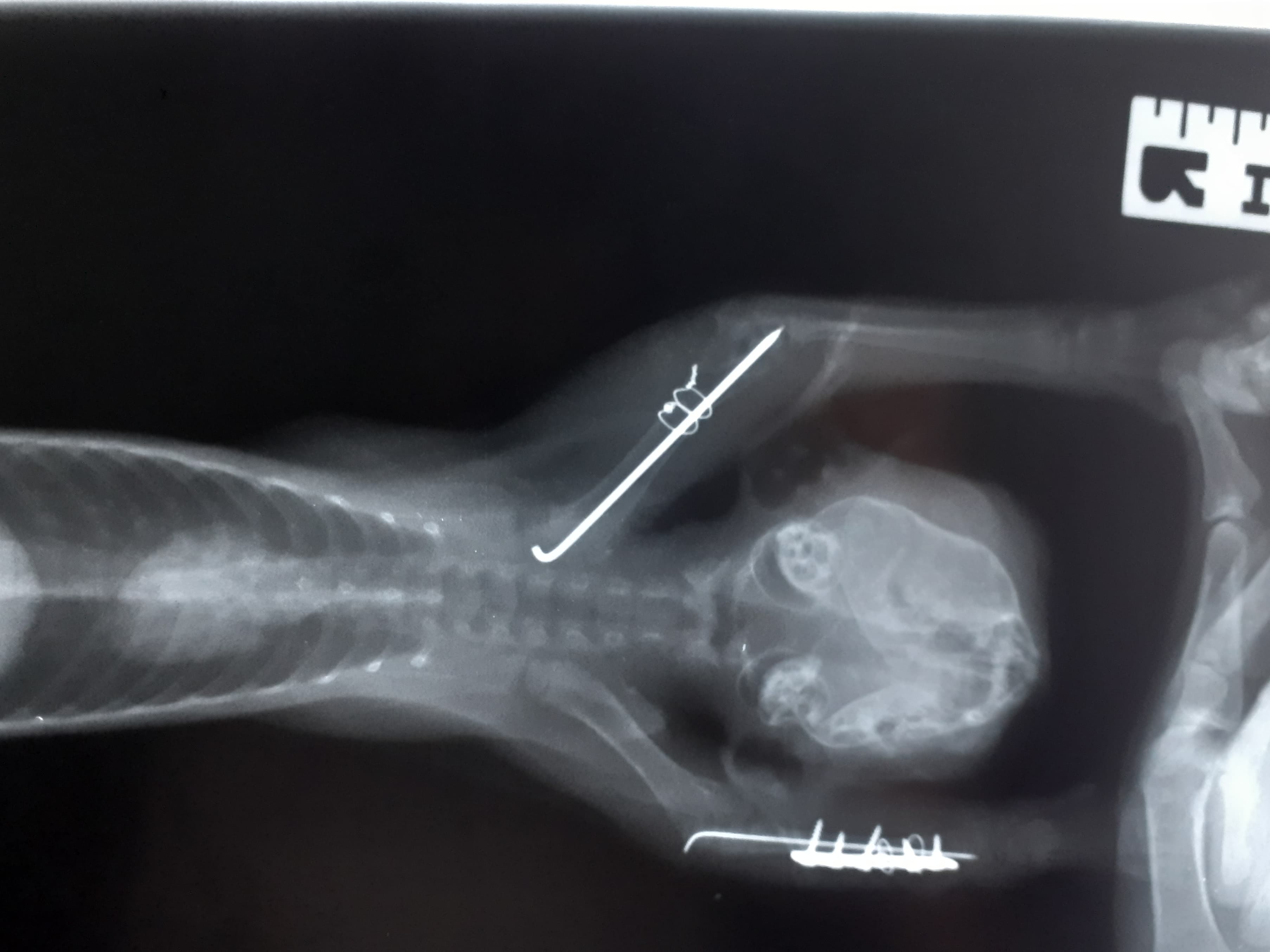
Koťátko jsme vyzvedli a vzali ho na místní veterinu, kde dostalo injekci na bolest a pan doktor ho prohlédl a ošetřil mu očičko. Následně jsme ho převezli k našemu panu veterináři, u kerého koťátko podstoupilo operaci nožiček. Pan doktor nám také prozradil, že jde o holčičku, dostala jméno Alex.

Prosím, pomozte nám koťátko zachránit a zašlete mu libovolný příspěvek na pokrytí veterináních výdajů. 🙏 Uděláme vše, co budeme moct, abychom koťátko zachránili, sami to ale nedokážeme. Prosím, přidejte se k nám. 🙏 
Podpořte tento projekt ještě víc a zapojte kamarády Založit dárcovskou výzvu

Pan doktor Alex předevčírem převazoval operované nožičky a kočička se okamžitě chtěla stavit. 🙀 Je to pořádná bojovnice. Se zkoušením nožiček nicméně bude muset ještě chvíli počkat, než se nožky zahojí. Teď by si totiž neopatrnými pohyby ještě stále mohla ublížit a to nikdo nechce.

S kočičkou to zatím jinak vypadá dobře. 💪 Papá a dokonce se i mazlí. 🥰 Přitom když jsme ji přebírali, syčela a chtěla se bránit, pana veterináře se dokonce i pokusila kousnout. Jak ale pochopila, že jí nechceme ublížit, odhalila svou mazlivou stránku a syčení vyměnila za spokojené vrnění. ❤️


Alex nadále zůstává hospitalizovaná na veterině, kde si ještě nějakou dobu pobude. Máme radost, že zatím se věci vyvíjí dobře a doufáme, že už si pro Alex osud nepřichystá žádné další překážky a problémy. 🙏

Chtěli bychom moc poděkovat za všechny vaše zprávy, komentáře, lajky, sdílení i pomoc se zaplacením léčby. 🙏 Vlna podpory, která se zvedla, nás velmi překvapila a jsme za ni nesmírně vděční. ❤️ Na pomoc kočičce se rychle podařilo vybrat dostatek financí, díky kterým jí můžeme poskytnout tu nejlepší možnou péči. Děkujeme. Už navždy budete součástí jejího příběhu. ❤️

Pokud vám naše činnost dává smysl a chtěli byste nás v tom, co děláme, podporovat i nadále, budeme moc rádi, když se stanete součástí Klubu hrdinů a pomůžete nám postarat se i o další zvířatka. 💕 Registrovat se můžete na 👉 https://www.handipet.org/klubhandipetu/

Zubožené koťátko, které jsme včera přijali, má jméno! Je to holčička a jmenuje se Alex. 🐱 Koťátko je hospitalizované na veterině, dostalo kapačky a už má za sebou operaci zlomených nožiček. Ty se zpevnily drátem a zafixovaly. Teď Alex čeká klidový režim a hojení, vyhráno ještě ale nemá - stále zde existuje riziko infekce. 😔 Moc doufáme, že k ničemu takovému nedojde a od teď už vše půjde dobře, to ale ukáže teprve čas. 🙏 Pokud jde o nemocné očičko, pan doktor se domnívá, že půjde o zelený zákal, ještě to ale nedovede říct jistě.

Drobeček má i přes nelehkou situaci spoustu chuti do života - a hlavně chuti k jídlu. ❤️ Sice se nemůže moc hýbat, ale i tak zvládá papat sama. Je to neuvěřitelná bojovnice. 💪 Muselo se jí strašně ulevit. Ještě včera ráno si nebyla jistá, co s ní bude a jestli se vůbec dožije dalšího dne. Teď je obklopená lidmi, kteří dělají vše pro to, aby jí pomohli se uzdravit. ❤️ Vy patříte mezi ně a my vám za to a za veškerou vaši podporu moc děkujeme. 🙏

Založení projektu

Just wonderful what you do! Yes, a happy life Alex will have thanks to you!

Brian Francis Reagan
20 €

Posláno, hodně sil❤️

Martina Vondráčková
100 Kč

Posílám drobečkovi pár korunek na léčbu, ale taky hodně dobré energie... A všem veliké díky za to, co pro ty tvorečky děláte...

Iva Ondrová
300 Kč

Nejde pomoci všem. Ale každému alespoň kousek. Přeji ať se uzdravíš

Karin Bauer
100 Kč

Zlatíčko není to sice moc, ale snad to alespoň trochu pomůže. Hlavně to zvládni a bojuj!!! Budeme na tebe myslet

Kateřina Kováčíková
200 Kč

Přeji malé slečně hodně zdraví a lásky 😌

Anetta Nyitraiová
200 Kč

Držím palce! 🍀🍀🍀

Helena Šebestová
50 Kč

Drž se koťátko

Adéla Lučanová
100 Kč

Brzy se uzdrav zlatíčko

Michaela Švecová
200 Kč

Daisy and I hope this helps. We are humbled by the work you do.

Grant Podelco
100 €